Büyükşehir Belediye Kamuyu duyurusu ise şu şekilde;
Ak Parti Tarsus İlçe Başkanı İbrahim Gül’ün Mersin Büyükşehir Belediye Başkanı Burhanettin Kocamaz’ı hedef alan asılsız iddiaları üzerine açıklama yapma ve gerçekleri kamuoyuna duyurma gerekliliği doğmuştur.
Ak Parti Tarsus İlçe Başkanı İbrahim Gül tarafından basına servis edilen açıklamada, Mersin Büyükşehir Belediye Başkanı Burhanettin Kocamaz’ın Tarsus’a yapılacak Devlet Hastanesi’ne engel olduğu yönünde asılsız ve gerçek dışı beyanlara yer verilmiştir.
Bahsi geçen açıklamada dönemin Tarsus Belediye Başkanı Burhanettin Kocamaz’ın, 2011 yılından beri Tarsus’a yapılacak yeni bir Devlet Hastanesi’ne engel olduğu iddia edilmektedir.
Ancak iktidar partisinin bir ilçe başkanına yakışmayacak şekilde siyasi rant uğruna bu tür mesnetsiz ve tutarsız iddiaların kamuoyuna aktarılması, güzel kentimiz Mersin’de siyasi mücadelede kalite çıtasının nerelere kadar düştüğünü göstermektedir. İlçe başkanının konu ile ilgili hiçbir bilgisi olmadığı gibi, Büyükşehir Belediye Başkanı Burhanettin Kocamaz’ın kentin yararına olacak her işe bütün siyasi mülahazalardan uzak bir şekilde gövdesini koyduğu ve bugüne kadar verdiği sözlerin hepsini tutarak Mersin’e hizmet yarışında sergilediği çabaları görmezden geldiği de yapılan açıklamanın asıl amacını ortaya sermektedir.
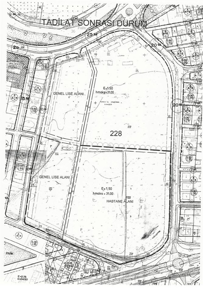
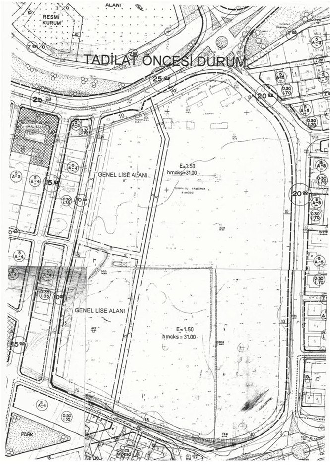
Ak Parti Tarsus İlçe Başkanı İbrahim Gül’ün; Burhanettin Kocamaz’ın 2011’den bu yana hastane yapılmasına engel olduğu yönündeki açıklaması hayal mahsulüdür. Bu hayal ürünü açıklama ile de dönemin Tarsus Belediye Başkanı Burhanettin Kocamaz’ın 2011 yılında Sağlık Müdürlüğü’ne kentin gelişimi açısından Tarsus’a yeni bir Devlet Hastanesi yapılması için, (yapılacak hastanenin yeri içine sinmese de) yer tahsisinde bulunduğu kamuoyundan saklanmak istenmektedir. Öyle ki‘05/09/2011 tarihinde Tarsus Belediyesi İmar kurulu tarafından Fevzi Çakmak Mahallesi 228 ada ve 46 nolu parselin bir kısmı Toplu Konut alanı iken, Hastane alanı olarak düzenleyen 1/5000 nazım imar planı ve 1/1000 ölçekli uygulama imar planı tadilatı hazırlanmış, söz konusu imar planı tadilatı 07/09/2011 tarih ve 2011/9-1 (93) sayılı belediye meclis kararı ile kabul edilmiştir.
Ancak İlçe Mal Müdürlüğü, 12/10/2011 tarih ve 4529 sayılı yazısında kabul edilen belediye meclis kararına, ilçede iki adet devlet hastanesinin bulunması nedeniyle itiraz etmiş, bunun üzerine 04/11/2011 tarihinde İlçe Belediye Başkanı Burhanettin Kocamaz başkanlığında toplanan Tarsus Belediye Meclisi’nde İlçe Mal Müdürlüğü tarafından yapılan itirazın reddine oy birliği ile karar verilmiştir.’
Nitekim dönemin Mersin Milletvekili ve Ekonomi Bakanı Zafer Çağlayan ile konuyu hastane yapım işini hızlandırmak adına defalarca görüşen Burhanettin Kocamaz’a atılan iftiralar yersiz, tutarsız ve bir siyasetçiye yakışmayacak ölçüde bilgi eksikliğinden değil, siyasi hırs ve bize karşı duyduğu nefretten kaynaklanmaktadır. Zira İbrahim Gül’ün içinde 1999’dan kalma Burhanettin Kocamaz’a karşı aldığı yenilgiden kaynaklanan bir erik kurusu olduğunu tüm kamuoyu bilmektedir. Kaldı ki söz konusu hastane meselesi 2002 yılında milletvekili seçilen Sayın Saffet Benli’den bu yana temcit pilavı gibi her seçim öncesinde gündeme getirilmiş, ancak bir arpa boyu yol kat edilememiş ve Tarsus halkı çok kötü şartlardaki hâlihazır hastaneye mahkûm edilmiştir.
Tarsus halkı Burhanettin Kocamaz’ın konu ile ilgisini, Ak Parti İlçe Başkanı İbrahim Gül’den çok daha iyi bilmektedir.
Büyükşehir Belediye Başkanı Burhanettin Kocamaz’ın 23 yıllık belediyecilik tecrübesi ile altına imzasını attığı hizmetler, Mersin’i kimin ne kadar sevdiğini ortaya koymaya yetmektedir. Dolayısıyla siyasi gelecek kaygısı taşıyan bazı yerel siyasetçilerin, kendi küçük menfaatleri uğruna bu tür asılsız ve gerçek dışı beyanlarını ve polemik yaratma çabalarını siz değerli kamuoyunun takdirine bırakıyor, bu açıklamanın tamamen bilgi eksikliğinden kaynaklandığına inanmak istiyoruz. Kamuoyu gündemini de meşgul eden açıklamaları nedeniyle Ak Parti Tarsus İlçe Başkanı İbrahim Gül’den, Tarsus ve Mersin halkından özür dilemesini bekliyoruz.
Basına ve kamuoyuna saygıyla duyurulur…





