Marmara Denizi'nde 51 yıl önce meydana gelen uçak kazasında 42 kişi hayatını kaybetmişti. Türk Hava Yolları'na (THY) ait F-28 "Bursa" isimli uçağın enkazı, o dönemdeki sınırlı teknik imkanlar nedeniyle bulunamamıştı. Uçak kazasından sonra yapılan arama çalışmaları, yetersiz koşullardan ötürü başarısız olmuştu. Ancak son zamanlarda gönüllü gruplar tarafından yeniden başlatılan arama faaliyetleri, bölgenin tekrar taranmasını sağladı.
Yeni Arama Faaliyetleri
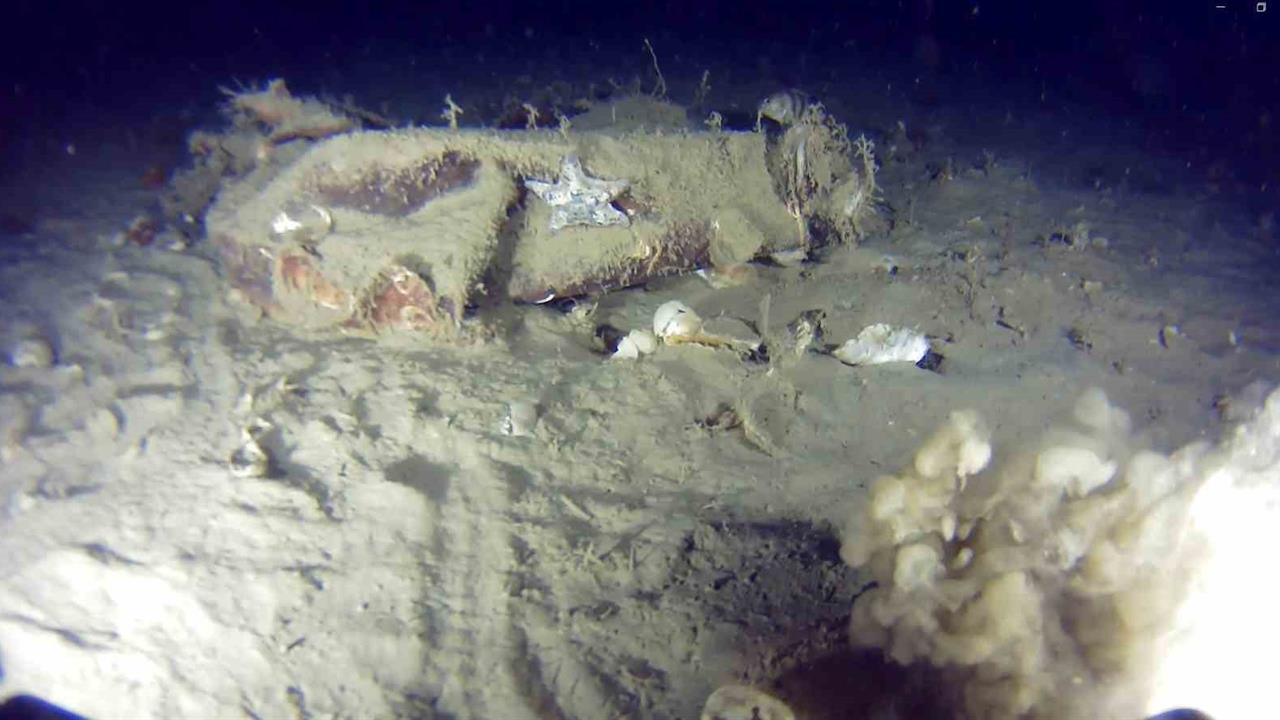
Nedim Kuru liderliğindeki ekip, sosyal medya aracılığıyla yürütülen bu çalışmalarda, Büyükçekmece ile Ambarlı açıklarına 5'inci kez dalış gerçekleştirdi. Su altı görüntüleme robotları ve sonar cihazları kullanılarak yapılan tarama yaklaşık 7 saat sürdü. Elde edilen verilerde, deniz tabanında uçağa ait olabileceği düşünülen alüminyum parçalar kaydedildi. Kuru, enkaz sahasının detaylı bir şekilde incelendiğini ve elde edilen görüntülerin teknik analiz için değerlendirileceğini belirtti.
Anıt Mezara İlişkin Başvuru
Ayrıca, kazada yaşamını yitirenlerin anısına deniz içerisinde sembolik bir anıt alanı oluşturulması amacıyla İstanbul Valiliği'ne resmi başvuruda bulunulduğu öğrenildi. Bu girişim, kazanın unutulmaması ve anma etkinliklerinin düzenlenmesi açısından önemli bir adım olarak değerlendiriliyor.
