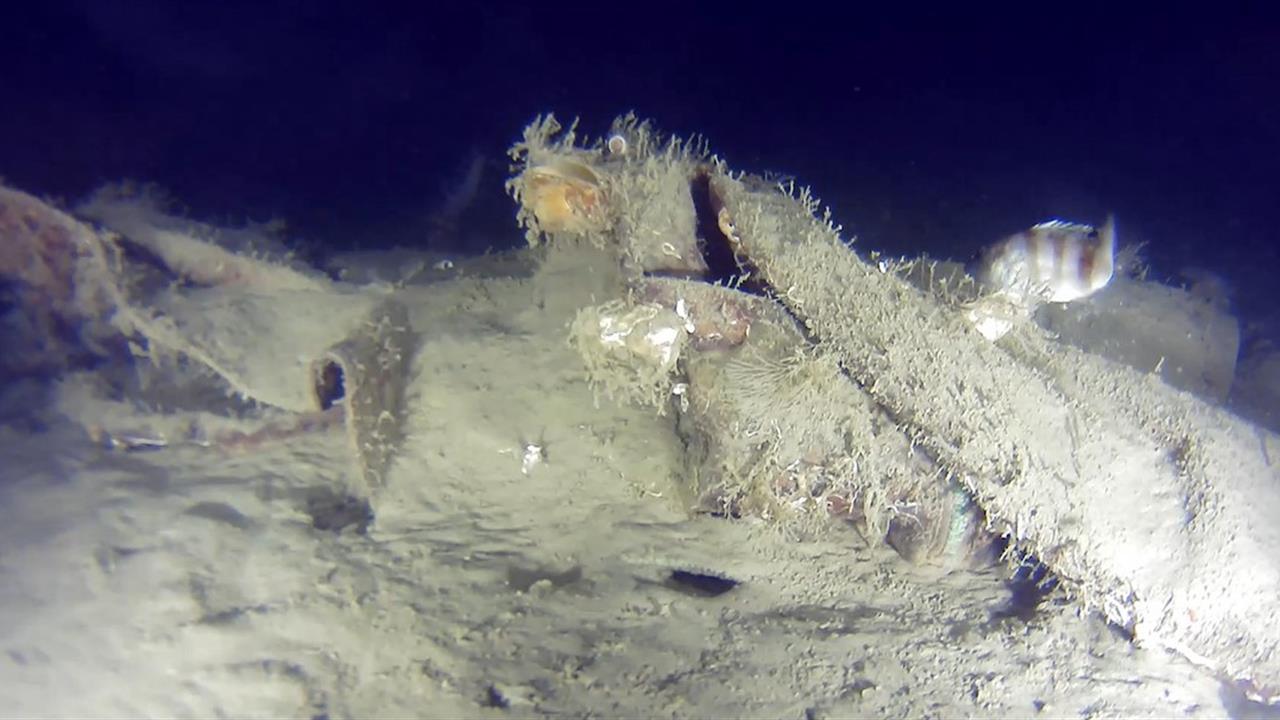
30 Ocak 1975 tarihinde 42 kişinin hayatını kaybettiği Türk Hava Yolları’na (THY) ait 'Bursa' isimli F-28 uçağının enkazında önemli gelişmeler yaşanıyor. İzmir-İstanbul seferini yaparken inişe geçtiği sırada Büyükçekmece açıklarında Marmara Denizi’ne düşen uçağın yerini tespit ettiğini öne süren Youtuber Nedim Kuru, su altı dronu ile daha önce yaptığı dalışta uçağa ait olduğu düşünülen parçaları keşfetmişti. Ekibin gerçekleştirdiği son dalışta, uçağın gövdesine ait olduğu iddia edilen parçalar görüntülendi.
Kaza sonucunda hayatını kaybedenler arasında dönemin tanınmış isimleri yer alıyordu. Teknik direktör Fatih Terim’in kayınpederi Kamuran Aksu ile şarkıcı Seyyal Taner’in hostes kardeşi gibi tanınmış kişilerin de olduğu kazada, dönemin teknolojik yetersizlikleri nedeniyle enkaz resmi olarak çıkarılamamış ve arama çalışmaları sınırlı kalmıştı. Yeni bulgular, kazanın üzerinden yıllar geçmesine rağmen hala araştırılmaya devam edildiğini ortaya koyuyor.
